4 Grundstücke „Am Sandberg“

Die Konversionsgesellschaft Karlsruhe mbH (KGK) bietet aktuell Baugrundstücke im beliebten Karlsruher Stadtteil Knielingen im Rahmen eines Gebotsverfahrens an. Für Bauträger und Investoren eröffnet sich hier die einmalige Gelegenheit, zwei attraktive Grundstückspakete zu erwerben.

Lage und Umfeld
Knielingen überzeugt als beliebter und lebenswerter Ortsteil mit hervorragender Infrastruktur. Kindergärten, Schulen, Spielplätze, Ärzte, Einkaufsmöglichkeiten sowie Gastronomie sind bequem zu Fuß oder mit dem Fahrrad erreichbar. Die perfekte Lage macht diese Grundstücke besonders interessant für zukünftige Bauprojekte.

Habichtweg

  • Drei parzellierte Flurstücke
    • Nr. 43146 – 1.050 m²
    • Nr. 43147 – 1.293 m²
    • Nr. 43148 – 1.101 m²
  • Gesamtfläche: 3.444 m²
  • Mindestgebot: 2.169.720 €
  • Hinweis: Dieses Grundstückspaket wird ausschließlich en bloc, also nur gemeinsam, veräußert.
Übersichtskarte der Grundstücke

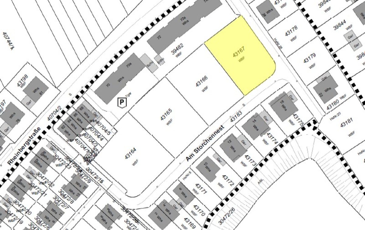
Am Storchennest

  • Flurstück Nr. 43167
  • Größe: 1.117 m²
  • Mindestgebot: 703.710 €
Übersichtskarte der Grundstücke

Planungsrecht und Erschließung
Die Grundstücke unterliegen dem Bebauungsplan „Am Sandberg 2“ (ehemals VfB Knielingen). Details zu den planungsrechtlichen Festsetzungen können Interessenten direkt beim Bauordnungsamt der Stadt Karlsruhe einholen. Die Grundstücke sind lastenfrei und nicht mit Baulasten belegt. Hausanschluss- und Erschließungskosten sind nicht im Kaufpreis enthalten und werden vom Käufer übernommen.

Besondere Auflagen und Verpflichtungen
Die Grundstücke dürfen nur innerhalb von 42 Monaten nach Kaufvertragsabschluss bezugsfertig bebaut werden. Eine Weiterveräußerung im unbebauten Zustand ist ausgeschlossen. Zudem müssen alle Gebäude mindestens im Energieeffizienzhausstandard (KfW-40) errichtet werden. Diese Verpflichtungen werden grundbuchrechtlich gesichert.

Wichtige Hinweise zum Gebotsverfahren
Gebote sind ab sofort bis spätestens 20.11.2025, 12:00 Uhr ausschließlich per E-Mail an sandberg@volkswohnung.de einzureichen.

Nach Zuschlag ist die Finanzierung des Kaufpreises sowie der Erwerbsnebenkosten durch eine Finanzierungsbestätigung eines deutschen Kreditinstituts nachzuweisen.
Die Konversionsgesellschaft Karlsruhe mbH (KGK) ist nicht verpflichtet, diese Grundstücke zu veräußern oder bestimmte Gebote anzunehmen. Es werden weder Makleraufträge erteilt noch Vermittlungsprovisionen gezahlt. Interessenten tragen sämtliche Kosten und Risiken für eigene Planungen und Untersuchungen.

Für Rückfragen oder weitere Informationen wenden Sie sich bitte an T 0721 35 06 322 oder verkauf@volkswohnung.de